Những lỗ thủng kỳ lạ được phát hiện dưới đáy đại dương
Thuyết âm mưu đáng sợ về Tam giác quỷ Bermuda: Thảm kịch không lời giải trên đại dương! / Thuyết âm mưu đáng sợ về Tam giác quỷ Bermuda: Thảm kịch không lời giải trên đại dương!
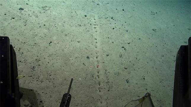
![]() |
Các lỗ thủng thẳng hàng bí ẩn được phát hiện dưới đáy biển. |
Các lỗ thủng kỳ lạ này đã được phát hiện bởi phi hành đoàn của tàu Okeanos Explorer của Cơ quan Khí quyển và Đại dương Quốc gia (NOAA) khi họ điều tra về Mid-Atlantic Ridge, mộtkhu vựchầu như chưa được khám phá của đáy biển thuộc dãy núi lớn nhất thế giới.
Các lỗ thủng tạo thành một đường thẳng và xuất hiện với khoảng cách lặp lại thường xuyên, và chúng được bao quanh bởi những gò trầm tích nhỏ. Đây không phải là lần đầu tiên người ta phát hiện ra các lỗ thủng trong khu vực này. Hai nhà khoa học hàng hải thuộc Cơ quan Nghề cá Biển Quốc gia của Mỹ cũng đã phát hiện ra những lỗ thủng bí ẩn dưới đáy đại dương trong một lần lặn vào năm 2004.
Các nhà nghiên cứu của NOAA viết : "Những lỗ thủng nàyđã được báo cáo trước đây từ khu vực, nhưng nguồn gốc của chúng vẫn còn là một bí ẩn. Trong khi chúng trông giống như do con người tạo ra, những đống trầm tích nhỏ xung quanh các lỗ khiến chúng có vẻ như được khai quật bởi ... thứ gì đó."
Vào năm 2004, các nhà khoa học đã đề xuất rằng, một sinh vật sống trong hoặc sàng lọc trầm tích của đáy biển đã tạo ra các lỗ thủng, nhưng vì chưa ai nhìn thấy những sinh vật như vậy tạo ra các lỗ thủng này nên nguồn gốc chính xác của chúng vẫn chưa được biết đến. Suy đoán của công chúng trên trang Facebook của NOAA rất đa dạng - từ các vết nứt trên bề mặt sàn do khí thoát ra, đến việc đào kho báu dưới nước của con người, đến kiến, người ngoài hành tinh và thậm chí cả sao biển làm bánh xe.
Bí ẩn chưa được giải đáp gợi nhớ đến một " con đường gạch vàng" dưới nước dưới lòng Đại Tây Dương mà các nhà thám hiểm đại dương đã phát hiện trên đỉnh một ngọn núi dưới nước gần Hawaii trước đây. Các nhà khoa học giải thích rằng họ nghi ngờ việc làm nóng và làm mát đáy biển qua nhiều đợt phun trào núi lửa đã tạo ra con đường kỳ lạ.
Mặt khác, điều gì đang tạo ra các lỗ thủng, có thể mất nhiều thời gian hơn một chút để tìm ra. Các nhà nghiên cứu sẽ tiếp tục khám phákhu vực nàycho đến tháng 9 như một phần của chuyến thám hiểm Voyage to the Ridge 2022, nhằm mục đích vạch ra các rạn san hô và môi trường sống của bọt biển trong khu vực cùng với việc nghiên cứu các lỗ thông hơi thủy nhiệt của khu vực và các khu vực đứt gãy và rạn nứt của nó. Nếu họ may mắn, họ có thể tìm ra kẻ tạo ra lỗ thủng này.
End of content
Không có tin nào tiếp theo
Xem nhiều nhất
Khỉ hoang liều lĩnh ‘bắt cóc’ chó con giữa chợ đông người rồi nhảy lên mái nhà tẩu thoát
Dại dột tấn công bò, chó dữ nhận ngay bài học nhớ đời
Bị mắc cạn, cá sấu trở thành bữa ăn ngon cho bầy sư tử
Báo hoa mai liều lĩnh nhai gương xe rồi lao vào nhà dân vồ chó con trong chớp mắt
16 chó hoang hợp sức đoạt mạng trâu rừng khổng lồ
Linh dương đầu bò tử nạn sau màn tấn công liên hoàn của cá sấu






