Tìm kiếm: hiểm-họa
Đọc sách hay cầm điện thoại lướt Facebook, chơi game… là một thói quen ẩn chứa vô số hiểm họa đối với sức khỏe.
Nếu nhìn vào lịch thi đấu của Real Madrid thời gian tới, có thể khẳng định rằng, đội bóng của HLV Zinedine Zidane toàn gặp những đội “vừa miếng”.
"Khoảng 20 phút sau tôi định ra cám ơn bạn bè vợ thì 1 trong số những cô bạn của cô ấy hốt hoảng ghé tai tôi...", chú rể kể lại.
Những món ăn khoái khẩu của nhiều người Việt lại là 'thủ phạm' khiến cơ thể bạn bị nhiễm giun sán, ảnh hưởng nghiêm trọng đến sức khỏe, thậm chí có thể mất mạng.
Tuần hoàn máu thông suốt là tiền đề cho sự hoạt động bình thường của cơ thể, nếu mạch máu bị tắc nghẽn, các cơ quan trong cơ thể không được cung cấp chất dinh dưỡng chắc chắn sẽ tiềm ẩn những nguy cơ vô cùng lớn cho sức khỏe.
Bất cứ lúc nào nếu những hiểm họa này xảy ra đều có thể hủy diệt hoàn toàn sự sống trên Trái Đất.
Mặc dù không cùng huyết thống nhưng những sao Hollywood này lại sở hữu gương mặt với nhiều điểm tương đồng từ màu tóc, hình dạng mắt, mũi khiến công chúng không khỏi bất ngờ.
Phát hiện này khiến các nhà khoa học phải nhìn nhận lại nguyên nhân khiến cho hơn 200 siêu tàu vận tải mất tích bí ẩn trong suốt 20 năm qua.
M.U chưa bao giờ hối tiếc vì đã bỏ qua James Maddison và chọn Bruno Fernandes. Tối nay, khi bộ đôi này đối đầu với nhau, đó có thể là một dịp khác để chứng minh sự chính xác của họ.
Sai lầm trong ăn uống có thể gây hậu quả chết người, đa phần mọi người đã biết tránh xa những thực phẩm như tiết canh, thịt cá chế biến sơ sài nhưng món rau sống, ẩn họa giun sán thì nhiều người vẫn chưa để ý tới.
Tuy cua đồng nhiều chất dinh dưỡng nhưng nếu ăn cua đồng không đúng cách nó có thể biến thành chất gây hại đến sức khỏe con người.
Đoạn video ngắn, được thực hiện bên trong một tổ ong đã hé lộ cách các ấu trùng ong chuyển biến thành nhộng như thế nào và không ngừng phải đối phó với những con bét ký sinh, hút máu ra sao.
Nhờ sự hậu thuẫn ngụy trang tài tình của quân đội Hoa Kỳ mà Nhà máy số 2 của hãng Boeing đã hoàn toàn "bốc hơi" dưới một vùng ngoại ô rộng tới 10,5 ha. Sự thật của câu chuyện ly kỳ này là như thế nào.
Các nhà vũ trụ học và vật lý thiên văn đều cho rằng những cuộc gặp gỡ với người ngoài hành tinh đang đến gần.
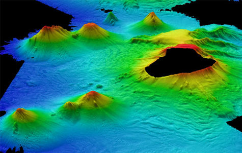
Một đoàn thám hiểm Anh quốc đã phát hiện hơn một chục miệng núi lửa dưới đáy đại dương Nam Cực thuộc khu vực gần các hòn đảo có tên South Sandwich ở phía nam Đại Tây Dương. Những rặng núi lửa này có độ cao lên tới gần 3km và một vài miệng đang hoạt động.
End of content
Không có tin nào tiếp theo


































