Tìm kiếm: Động-đất-mạnh
Điểm đổ bộ của các phi hành gia NASA trong một cuộc chinh phục năm 2026 có thể bị ảnh hưởng bởi những vụ động đất nguy hiểm.
Việc Nhật Bản là nước từng hứng chịu thảm họa lớn từ những trận động đất khiến cả thành phố trở thành đống đổ nát từng là nỗi đau lớn đối với nhiều người. Vậy tại sao Nhật Bản lại thường xảy ra động đất lớn đến vậy?
DNVN – Vừa từ khu lánh nạn trở về ký túc xá, nhiều thực tập sinh người Việt Nam tại Nhật Bản vẫn chưa hết bàng hoàng khi lần đầu chứng kiến cảnh tượng động đất khiến nhà cửa bị đổ sập, các thiết bị sinh hoạt bị hư hỏng.
DNVN – Đại diện Hiệp hội Doanh nghiệp Việt Nam tại Nhật Bản (VJBA) đã có mặt tại tâm chấn vụ động đất miền Trung Nhật Bản để phối hợp với Đại sứ quán, các hội đoàn triển khai hoạt động cứu trợ.
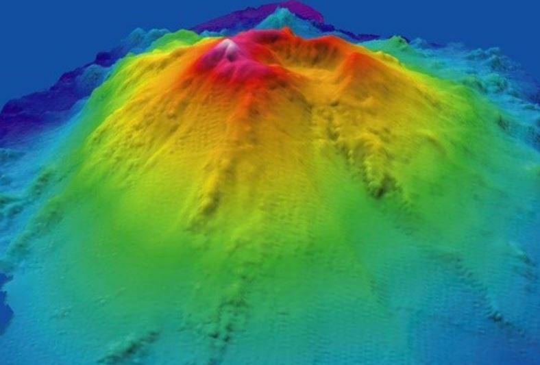
Văn phòng Khí tượng Iceland vừa cho biết, một ngọn núi lửa ở Iceland hiện đang phun trào sau nhiều tuần động đất làm rung chuyển khu vực.
Tất cả chúng ta đều thích nghe về những sự kiện huyền bí hoặc không thể giải thích được ghi lại, ví dụ như câu chuyện về những thợ săn ma nói chuyện với linh hồn bị giam cầm hay những bóng đen được nhìn thấy trong nghĩa địa cằn cỗi.
Trận động đất xảy ra ở Thiểm Tây, Trung Quốc gần 500 năm về trước được cho là gây ra ngày chết chóc nhất lịch sử nhân loại.
Họa sĩ truyện tranh Nhật Bản Tatsuki có thể nhìn thấy những cảnh tượng thảm họa trong tương lai thông qua những giấc mơ. Tatsuki nói rằng trong một khoảng thời gian ở thế kỷ trước, bà luôn có những giấc mơ kỳ lạ khi trong mơ, bà nhìn thấy những cảnh tượng thảm họa trên khắp nhân loại.
Kiến trúc đặc biệt của khu tổ hợp cung điện này khiến các chuyên gia vô cùng ngạc nhiên khi có thể chịu được động đất lên tới 10 độ richter.
Hệ thống trữ nước và tưới tiêu của người Nabatea xây dựng để đưa nước tới Petra cách đây 2.000 năm là một kỳ tích đáng kinh ngạc về mặt kỹ thuật.
Trang du lịch The Travel (Canada) mới đây đã đưa ra 10 kỳ quan dưới lòng đất đáng khám phá nhất, trong đó có hang Sơn Đoòng.
Hóa ra nguyên nhân gây ra thảm họa động đất khiến hàng chục nghìn người thiệt mạng ở Thổ Nhĩ Kỳ và Syria là xuất phát từ bên dưới bề mặt Trái Đất.
Nhiều khả năng, hố được tạo ra bởi một thiên thể có đường kính lên tới 400 mét.
Một kho báu khổng lồ bao gồm 1.600 tấn vàng được cho là vẫn nằm yên lặng hàng trăm năm dưới đáy hồ Baikal như một bí ẩn lớn. Mặc dù rất nhiều người thèm muốn nhưng vẫn chưa ai dám đi tìm câu trả lời cho bí ẩn đáng giá cả gia tài này.
Một con ‘quái vật biển’ sâu gần đây đã xuất hiện trên bãi biển thuộc Đảo Nam của New Zealand, trông giống một con rắn khổng lồ.
End of content
Không có tin nào tiếp theo






























